Если цена в объявлении изменится, мы сразу сообщим вам об этом на электронную почту.
Нажимая «Подписаться», вы соглашаетесь с правилами.
продам земельный участок, Чебаркуль90 000 000 ₽
27 июня
Дата публикации объявления
Обн. 19 ноя
Дата обновления объявления
2
Количество просмотров (+ просмотры за сегодня)
76 520 ₽/сотку
Параметры
Площадь участка1176,16 соток
Канализацияесть
Водаесть
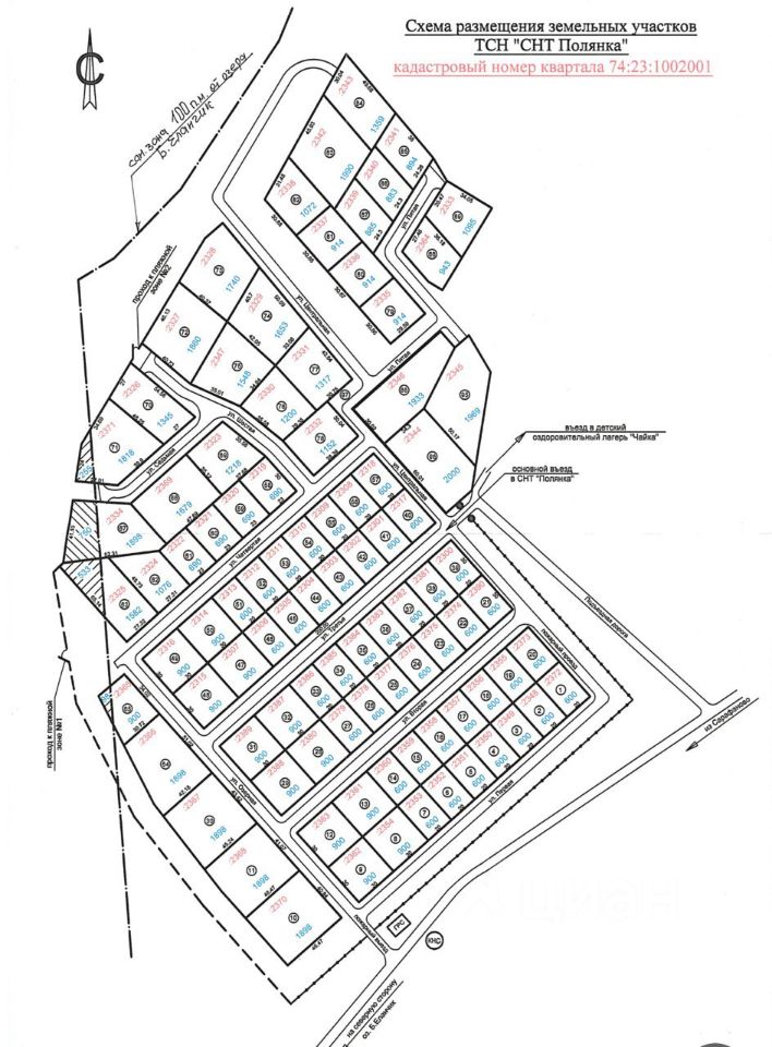
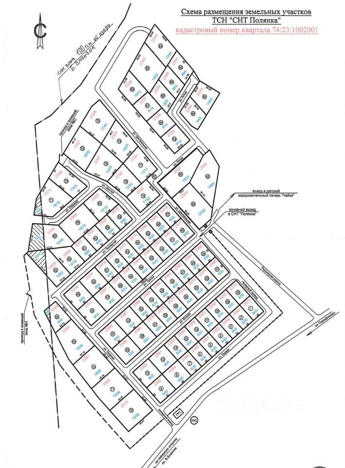
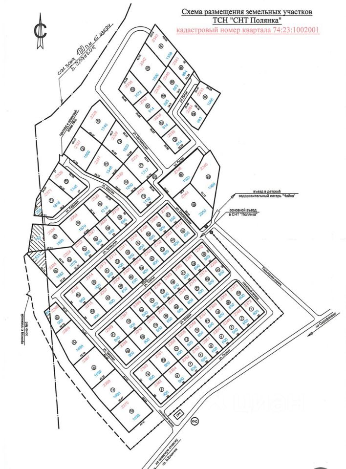
Арт. 108500975 Продается земельный участок 1176,16 соток (11,76 га) под СНТ с готовым проектом Местоположение: Чебаркульский район, рядом с озером Еловое (живописная природа, рекреационная зона).
Арт. 108500975 Продается земельный участок 1176,16 соток (11,76 га) под СНТ с готовым проектом Местоположение: Чебаркульский район, рядом с озером Еловое (живописная природа, рекреационная зона).
Документы: Полный комплект разрешений для организации СНТ Проектная документация (утвержденная) Разрешение на подключение к электросетям
Этап подготовки: На части участков уже проведены фундаментные работы Разработан детальный проект застройки
Проект включает: • Гостиничный комплекс • Многоквартирный жилой дом • 100 участков под частные владения (коттеджи, дачи)
Преимущества: • Удачное расположение у озера (туристический потенциал) • Готовые решения для быстрого старта строительства • Перспектива развития инфраструктуры
Возможности: Инвестиция в туристический бизнес Создание коттеджного поселка Развитие коммерческой недвижимости